172 500 €
Caractéristiques
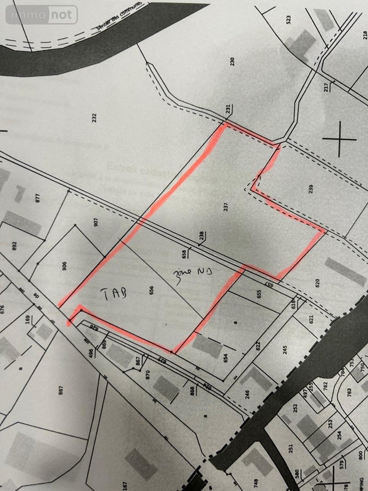
Surface terrain
9250 m²
Référence
l800225550
Terrain à bâtir à vendre à Serques dans le Pas-de-Calais (62910, Réf : l800225550)
Terrain à bâtir à vendre Serques dans le Pas-de-Calais (62), de 9250m², viabilisé en partie (assainissement)
Parcelles 656/658/238/237
possibilité trois terrains
environnement calme
bonne exposition,
Montant : 172500€
dont Prix de vente : 165000€
dont Honoraires* TTC à la charge de l'acquéreur : 7500€
Etude Notariale Me FRANCHOIS
111, route de Borre
59190 HAZEBROUCK
03.28.43.00.61/06.73.58.27.83
Serques (62910)
Carte interactive
Points d'intérêt
Découvrez l'environnement de ce bien immobilier : commerces, écoles, transports et services à proximité.
🏪 Commerces et services
Supermarchés, restaurants, banques et commerces de proximité.
🚇 Transports
Accès aux transports en commun, gares et temps de trajet.
🏫 Éducation
Écoles, collèges, lycées et établissements d'enseignement supérieur.
Diagnostics
En attente des éléments de refontes du DPEConsommation énergétique Max
0 €
Date DPE
19 décembre 2025
DPE Energie
Non renseigné
DPE GES
Non renseigné
DPE Lettre
?
État des risques
Les informations sur les risques auxquels ce bien est exposé sont disponibles sur le site Géorisques : www.georisques.gouv.fr

Contacter l'office notarial
SELARL Juliette FRANCHOIS-BODDAERT
111 route de Borre 59190 Hazebrouck
Formulaire de contact
Les champs marqués d'un * sont obligatoires



